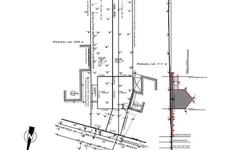
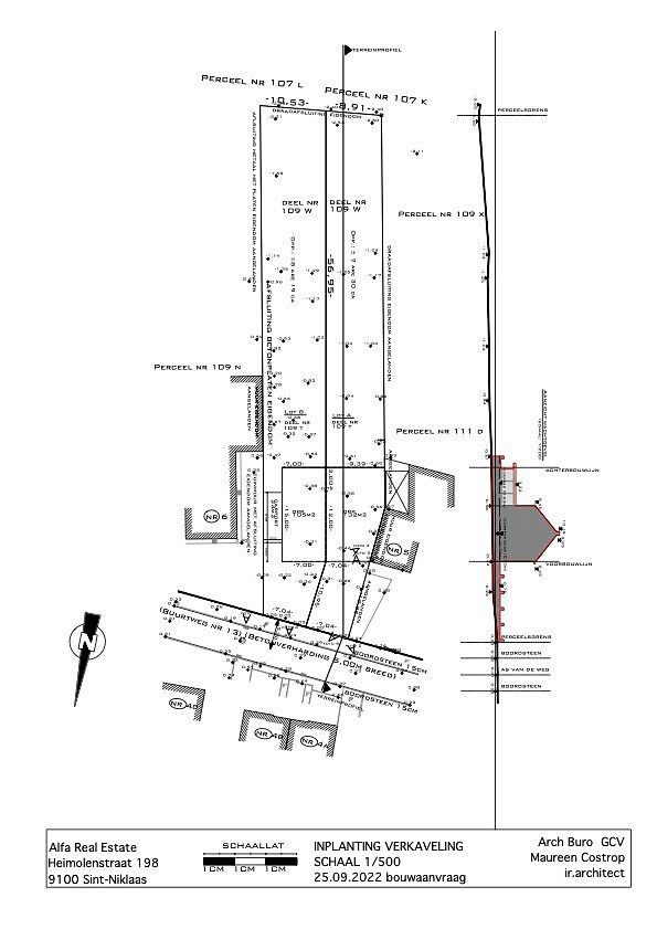
Bouwgrond met een oppervlakte van 818 m2 in Deftinge.
Ref. 3980Strichtstraat
TE KOOP - Deftinge : mooi stuk bouwgrond te koop. Met een oppervlakte van 818 m2 biedt dit stuk grond voldoende ruimte voor de bouw van uw droomwoning De ligging van het perceel in Lierde is ideaal voor wie op zoek is naar rust en natuur. Omgeven door groene velden en bossen, biedt deze locatie een oase van rust en stilte. Tegelijkertijd zijn alle nodige voorzieningen zoals winkels, scholen en openbaar vervoer binnen handbereik.
Details
- Referentienummer3980
- Beschikbaar vanaf Bij akte
- Prijs € 164.000,00
- EPCIn opmaak
- Stedenbouwkundige vergunning Nee
- Dagvaarding uitgebracht Nee
- Voorkooprecht Nee
- Verkavelingsvergunning van toepassing Nee


